Eighteen Oxford was a 9-lot residential development on a busy street in Tawa by Developers Urban Company.
Our scope of work:
-Removal of asbestos
- Demolish the existing large leaky house - Complete the earthworks
- Install drainage, water and services
- Preparation for slabs
- Install of all concrete surfacing prior to the homes being built
- Complete house drainage and connections
- Install all fencing
- Complete all landscaping and gardening
- Install letter boxes and bike rack

High Street- Boulcott
High Street was a development by Lower Hutt Developer Rudy van Baarle.
MRGs Contract included:
Taking over site from Demo team
Site cut and Earthworks
Drainage, Water and Services
Prep and Pour Vehicle Crossing
Prep and Pour Right of Way and Kerbing.
Prepare slabs
Prep and pour all scribed concrete patios
Install all fencing
Establish garden beds
Redwood School Playground Upgrade
This playground upgrade was completed in conjunction with Playground Creations with the majority of the work completed while the children were still at school adding an interesting dynamic to the teams on the ground.
MRG's Scope included:
- Site environmental and security
- Demolition of existing playground
- Site cut and extension for new playground area
- Trucking
- Dig and drill all footings and piles for new playground set out
- Install boundary framing to playground area
- Install safety wood chip for fall from heights
Raukawa Heights
Raukawa Heights was a large complex development completed by MRG Property. The Civils component of this job was very complex with multiple trades working on site to get it completed.
MRG Civils Scope included:
- Backfilling retaining walls
- Preparing all roading and right of ways
- Installing subsoil drainage
- Preparing and installing all Kerb and Channel into roading sumps
- Installing Roading and right of ways
- Preparing and installing vehicle crossings
- All fencing, landscaping, patios, minor retaining walls

Main Road
Main Road was a 9-lot infill development of an old bus depot.
MRG Civil had the contract for:
- Asbestos Removal and Demolition
-Site clearance and earthworks
- 3 waters drainage and connections
- Services install
- Fencing
Prepping and Installing Concrete Right of Ways
Concrete Patios
Ohariu Valley New Home
Ohariu Valley is a lifestyle block where our clients removed their existing home and rebuilt their new home.
MRG Civils Scope:
- Complete final stages of demolition
- Site cut and install retaining wall
- Build up gravel raft for slab
- Prepare slab
-Install large landscape batter
-Cut in new driveway
- Prepare and place new 200m2 exposed aggregate parking area
- Complete long rotor millings driveway down to the gate.

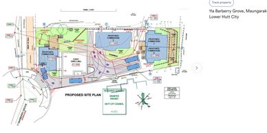
Barberry Grove
Barberry Grove was a 6 lot development in Maungaraki. It was completed around keeping and existing home with tenants living in it.
Our Scope:
- Earthworks
- Retaining
- Fencing
- Surfacing, concrete ROW
- Paving/Gobi Blocks
- Kerbing
- Vehicle Crossings
- Landscaping